Description
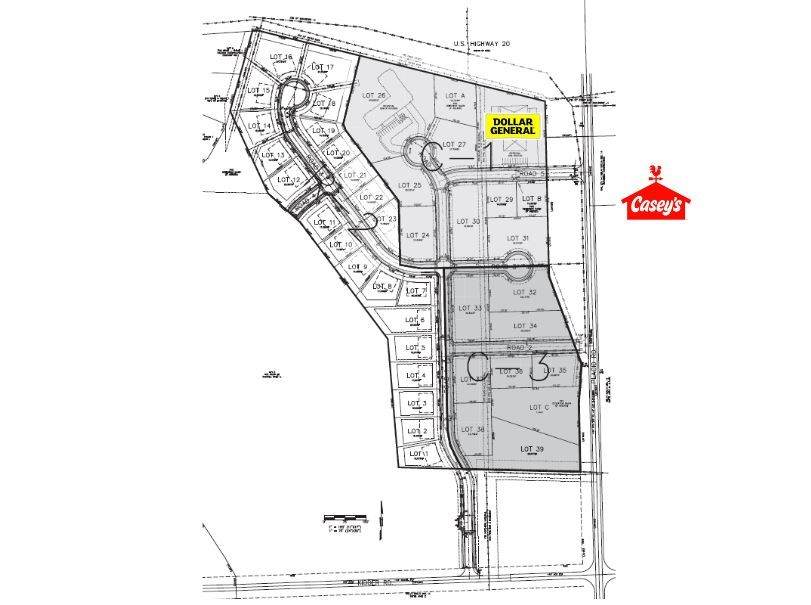
Prime development lots ranging from 0.299 to 9.455 acres in the vibrant Dubuque Metropolitan Area, specifically located in Epworth. These meticulously selected lots offer convenient access to Highway 20, Highway 151, and Dubuque, ensuring seamless transportation and enhanced visibility. Whether planning a dynamic residential community or a bustling commercial hub, this strategic location provides an ideal canvas for innovative projects. Notably, Dollar General has already secured Lot 28 within this new and upcoming development.
-
0BEDS
-
0.75ACRES
-
0BATHS
-
01/2 BATHS
School Information
Description
Prime development lots ranging from 0.299 to 9.455 acres in the vibrant Dubuque Metropolitan Area, specifically located in Epworth. These meticulously selected lots offer convenient access to Highway 20, Highway 151, and Dubuque, ensuring seamless transportation and enhanced visibility. Whether planning a dynamic residential community or a bustling commercial hub, this strategic location provides an ideal canvas for innovative projects. Notably, Dollar General has already secured Lot 28 within this new and upcoming development.
